Introducción
La salud del Presa Canario está en riesgo. Las exposiciones caninas, aunque visualmente atractivas y económicamente beneficiosas, han sido objeto de críticas crecientes por su impacto negativo en las razas de perros funcionales, especialmente el Presa Canario. Estos eventos, aunque prestigiosos, priorizan los atributos estéticos sobre las cualidades funcionales esenciales, lo que lleva a un declive en la salud y utilidad general de la raza.
El verdadero costo del glamour canino
Las exposiciones caninas no solo entretienen y generan ingresos significativos, sino que también influyen profundamente en las prioridades de cría. Esta obsesión por la perfección física está llevando a los criadores a tomar decisiones que a menudo comprometen la salud de los animales. La “salud del Presa Canario” sufre a medida que los criadores buscan rasgos que ganen premios en lugar de aquellos que garanticen un perro robusto y funcional.
Prácticas de cría comprometidas
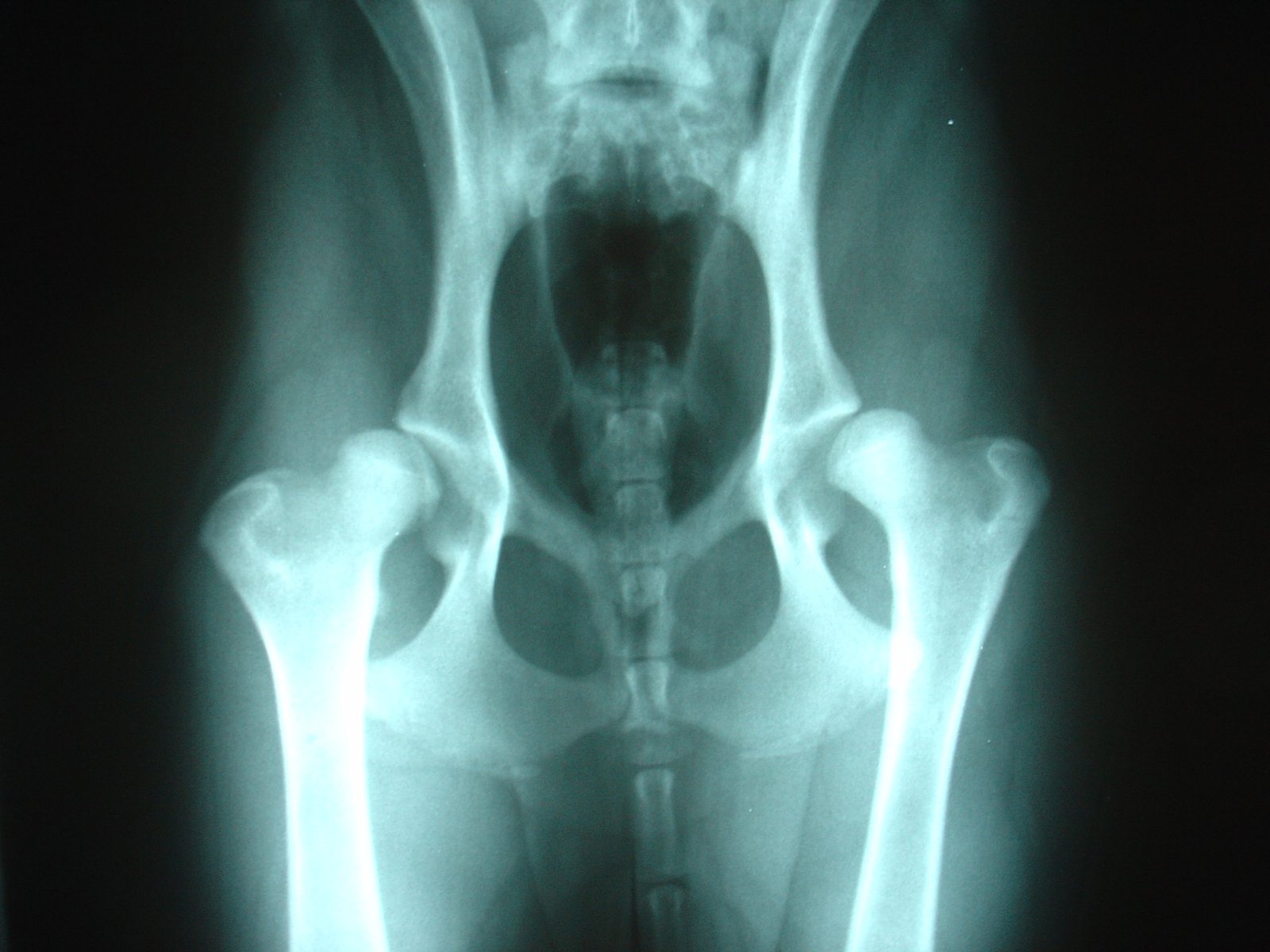
El ambiente competitivo de las exposiciones caninas fomenta un enfoque de cría que puede ser perjudicial. La diversidad genética se reduce a medida que los criadores seleccionan características específicas, lo que puede agravar problemas de salud hereditarios. Enfermedades como la displasia de cadera y otros trastornos genéticos están siendo más comunes entre los perros de exposición, incluido el Presa Canario.
Impacto en el Presa Canario
Originalmente criado para el trabajo y la protección, la funcionalidad del Presa Canario está siendo opacada por su apariencia. Este cambio amenaza la supervivencia de los rasgos históricos de la raza, ya que los criadores de exposiciones a menudo pasan por alto los exámenes de salud vitales en favor de mejorar las características físicas que atraen a los jueces.
X-ray of a dog with hip dysplasia.
Cambios culturales y respuestas de la comunidad
Hay un creciente descontento dentro de la comunidad de entusiastas de los perros respecto a los estándares actuales de las exposiciones caninas. Los defensores de la “salud del Presa Canario” están pidiendo un cambio hacia prácticas de cría orientadas a la salud. Esto incluye integrar evaluaciones funcionales en los criterios de las exposiciones y exigir exámenes de salud completos.
Proponiendo nuevos estándares para las exposiciones caninas
Para combatir el declive en la salud de la raza, deben establecerse nuevos estándares. Estos deben equilibrar la estética con la salud y la funcionalidad, asegurando que razas como el Presa Canario puedan prosperar tanto dentro como fuera del ring de exposiciones. Es fundamental promover una cultura donde la salud y la practicidad sean valoradas por igual que la apariencia.
Conclusión
Las exposiciones caninas tienen el potencial de fomentar un cambio positivo significativo en las prácticas de cría. Sin embargo, sin esfuerzos inmediatos y concertados para priorizar la salud y la funcionalidad, razas como el Presa Canario corren el riesgo de perder mucho más que solo su destreza histórica. Es crucial que redefinamos el éxito en el ring de exposiciones para salvaguardar el futuro de estos magníficos animales.




